---
title: "Gå med metaldetektor"
description: "Gældende regler og indberetter"
date: "2024-11-15"
created: "2024-05-13"
---

[Hjem](https://egedalkommune.dk/)

                    [Mit liv](https://egedalkommune.dk/mit-liv)

                    [Oplev Egedal](https://egedalkommune.dk/mit-liv/oplev-egedal)

                    [Ud i naturen](https://egedalkommune.dk/mit-liv/oplev-egedal/ud-i-naturen)

                [Gå med metaldetektor](https://egedalkommune.dk/mit-liv/oplev-egedal/ud-i-naturen/gaa-med-metaldetektor)

# Gå med metaldetektor

Vi ønsker at gøre det muligt for borgere at gå med metaldetektor, hvis man f.eks. er historisk interesseret og vil prøve denne hobby.

![Tre personer, der går på mark med metaldetektorer. Marken er grøn, og der er blå himmel](https://egedalkommune.dk/i/MOLIRIMEDIA/d8de595d-4847-4964-59be-08db919d58fe?width=800)

Gå med metaldetektor

## Værd at vide om at gå med metaldetektor

###

                                    Ønsker du at gå med metaldetektor i Egedal?

Det er muligt for dig som borger, at gå med metaldetektor, hvis du er historisk interesseret og vil prøve denne hobby.

Egedal Kommune har derfor stillet to arealer til rådighed, hvis du vil prøve at gå med metaldetektor på jord ejet af Egedal Kommune. Det drejer sig om to områder i Egedal By og Smørum:

###

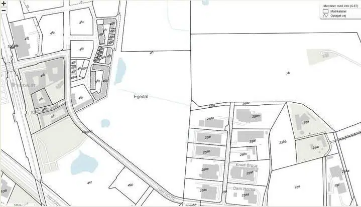
                                    Egedal By/Maglevad

– Nord for Dam Holme. Matrikelnummer 4h området øst for bebyggelsen indtil grøften mod nord: ca. 160 x 200 m

![Kortet over matrikel 4h, nord for Dam Holme, hvor man må gå med metaldetektor.](https://egedalkommune.dk/i/MOLIRIMEDIA/9f734f9b-641c-49c9-d85c-08db76eb47aa?width=800)

###

                                    Dyvelåsen

- arealet nord for parcelhuse og ringstien – og syd for Fantasihaven/Kirkevangen. Matrikelnummer 1ca, trekant: ca. 100 x 150 x 100 m.

- ![Kort over arealet nord for parcelhuse og ringstien, hvor man må gå med metaldetektor.](https://egedalkommune.dk/i/MOLIRIMEDIA/b48c7e1f-fe35-480d-d8f6-08db76eb47aa?width=800)

###

                                    Hvordan søger jeg?

Du kan ansøge om tilladelse til at afsøge disse områder med metaldetektor ved at skrive til: rolf.kjaer-hansen@egekom.dk.

###

                                    Følg reglerne

Du skal følge alle gældende regler og indberette eventuelle fund til det arkæologiske museum: [ROMU, Roskilde Museum](https://roskildemuseum.dk/ "Link til ROMUS hjemmeside") og følge anvisninger fra Egedal Kommune. Tilladelsen gælder for et kalenderår og kan ændres.

De valgte områder er tænkt som en mulighed for at komme i gang med metaldetektor, eventuelt med sine børn. Hvis du bliver yderligere interesseret, kan det anbefales, at spørge andre lodsejere om tilladelse til at gå på vedkommendes marker. Man skal altid have ejeren af jordens tilladelse og følge gældende regler.

Du kan læse mere om regler og metaldetektor her:
Slots- og Kulturstyrelsen: [https://slks.dk/metaldetektor](https://slks.dk/metaldetektor/ "Link til Slots- og Kulturstyrelsen")
ROMU: https://romu.dk/arkaeologi

## Kontakt

### Egedal Arkiver og Museum

Rådhustorvet 2

                                    3660

                                    Stenløse

arkiver-museum@egekom.dk

### Ring til os

[7259 7770](tel:7259%207770)
